Τζαμάικα: Έφτασε με 300 χλμ/ώρα ο τυφώνας Melissa - Ισχυρότερος και από τον Κατρίνα

ΜΕΛΙΣΣΑ ΚΥΚΛΩΝΑΣ ΚΑΡΑΙΒΙΚΗ ΤΖΑΜΑΙΚΑ Facebook Twitter
Φωτ. αρχείου: EPA
0

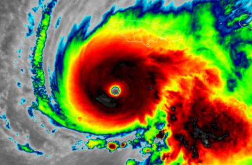
Από ανέμους που πνέουν με 300 χιλιόμετρα ανά ώρα, όπως ανακοίνωσε σχετικά και το Αμερικάνικο Εθνικό Κέντρο Κυκλώνων, έφτασε στην Τζαμάικα ο τυφώνας Melissa, «ένας από τους ισχυρότερους που έχει καταγραφεί ποτέ στον Ατλαντικό Ωκεανό».

Ο τυφώνας Melissa έφθασε στο νοτιοδυτικό άκρο της Τζαμάικα, με ανέμους 295 χλμ/ώρα, αναφέρεται στο κείμενο της ανακοίνωσης, με τα διεθνή ΜΜΕ να κάνουν λόγο πως η έντασή του θα ξεπεράσει αυτόν του (σ.σ. κυκλώνα) Κατρίνα, με τα νησιά της Καραϊβικής, όπως η Κούβα, να συνεχίζουν τις εκκενώσεις.

Η κεντρική ατμοσφαιρική πίεση της καταιγίδας έφτασε τα 892 μιλιμπάρ, καθιστώντας τον κυκλώνα ως την τρίτη ισχυρότερη καταιγίδα του Ατλαντικού που έχει καταγραφεί με βάση αυτό το μέτρο. Νωρίτερα την ίδια μέρα, καθώς ο καιρός επιδεινωνόταν, η μέγιστη ένταση της καταιγίδας ξεπέρασε εκείνη του τυφώνα Κατρίνα το 2005.

Τζαμάικα: 120 χιλιόμετρα δυτικά από την πρωτεύουσα Κίνγκστον ο Melissa

Ο Melissa έχει φτάσει στις ακτές του Νιου Χόουπ, περίπου 120 χιλιόμετρα δυτικά της πρωτεύουσας Τζαμάικα, Κίνγκστον, ενώ αναμένεται να «διασχίσει» το νησί μέσα σε ένα διάστημα έξι ωρών, γεγονός που έχει θέσει σε ύψιστη εγρήγορση τις τοπικές Αρχές. Θα είναι «ένα πολύ επικίνδυνο σενάριο που αρχίζει να εκτυλίσσεται, καθώς το μάτι του κυκλώνα κινείται κατά μήκος της Τζαμάικα» δήλωσε ο διευθυντής του Αμερικάνικου Εθνικού Κέντρο Κυκλώνων, Μάικλ Μπρέναν, σε συνέντευξη Τύπου γύρω στις 11:15 το πρωί (σ.σ. τοπική ώρα).

«Περιμένουμε να καταστραφούν ολικά ορισμένα κτίρια, καθώς οι άνεμοι θα φτάνουν και τα 300 χιλιόμετρα την ώρα» προειδοποίησε σχετικά ο διευθυντής του Αμερικάνικου Εθνικού Κέντρο Κυκλώνων, Μάικλ Μπρέναν, μιλώντας για τον κυκλώνα Melissa. Εν αναμονή της άφιξης της καταιγίδας, οι αρχές προέτρεψαν τους πολίτες να αποθηκεύσουν νερό και να καθαρίσουν τα χαντάκια και τους υπονόμους από σκουπίδια. Το απόγευμα της Δευτέρας, ο υπουργός Desmond McKenzie εξέφρασε την ανησυχία του για το γεγονός ότι πολύ λίγοι άνθρωποι προχωρούσαν σε προληπτική εκκένωση προς καταφύγια, ειδικά στις ενορίες που βρίσκονται κατά μήκος της προβλεπόμενης πορείας του τυφώνα.

Την ίδια ώρα, τρεις άνθρωποι έχασαν τη ζωή τους και περισσότεροι από δώδεκα τραυματίστηκαν στην Τζαμάικα ενώ προετοιμάζονταν για την καταιγίδα που πλησίαζε, σύμφωνα με τον υπουργό Υγείας της χώρας, Christopher Tufton. Οι περισσότεροι τραυματισμοί προκλήθηκαν εξαιτίας πτώσεων από σκάλες και στέγες, ενώ οι θάνατοι προέκυψαν, λόγω πτώσης δέντρων, περιέγραψε ο υπουργός Υγείας.

Τζαμάικα: Πού βρισκόταν ο Melissa το βράδυ της Δευτέρας

Αργά το βράδυ της Δευτέρας, το κέντρο του τυφώνα βρισκόταν περίπου 150 μίλια (240 χλμ.) νοτιοδυτικά του Κίνγκστον και 330 μίλια (530 χλμ.) νοτιοδυτικά του Γκουαντάναμο στην Κούβα, με μέγιστη σταθερή ταχύτητα ανέμων 175 μιλίων/ώρα (280 χλμ./ώρα). Ο κυκλώνας κινούνταν βόρεια-βορειοανατολικά με ταχύτητα μόλις 2 μίλια/ώρα (4 χλμ./ώρα), σύμφωνα με το NHC.

Ορισμένες περιοχές της ανατολικής Τζαμάικα αναμένεται να δεχθούν έως και ένα μέτρο βροχής, ενώ στη δυτική Αϊτή προβλέπονται έως 40 εκατοστά, σύμφωνα με τις ίδιες πληροφορίες. «Είναι πολύ πιθανές καταστροφικές αιφνίδιες πλημμύρες και πολυάριθμες κατολισθήσεις», προειδοποιεί ο οργανισμός.

Η περιοχή St. Elizabeth έχει ήδη μείνει χωρίς ρεύμα, καθώς οι σφοδροί άνεμοι έριξαν γραμμές ηλεκτροδότησης, ενώ λίγες ώρες πριν από το πέρασμα του κυκλώνα, η κυβέρνηση δήλωσε ότι έχει κάνει ό,τι ήταν δυνατόν για την προετοιμασία, προειδοποιώντας ωστόσο για επικείμενες καταστροφές μεγάλης κλίμακας.

«Δεν υπάρχει καμία υποδομή στην περιοχή που να μπορεί να αντέξει έναν κυκλώνα κατηγορίας 5», δήλωσε ο πρωθυπουργός Άντριου Χόλνες. Ο διευθυντής της Μετεωρολογικής Υπηρεσίας της Τζαμάικα, Ίβαν Τόμσον, προειδοποίησε ότι κανένα τμήμα του νησιού δε θα μείνει ανεπηρέαστο από τον φονικό συνδυασμό της ταχύτατης ενίσχυσης και της αργής κίνησης του.

«Η ταχεία ενίσχυση του τυφώνα είναι αξιοσημείωτη, κάτι που δε συμβαίνει πάντα, και συνήθως δείχνει τα θερμότερα νερά που βιώνουμε, τα οποία θεωρούμε εν μέρει αποτέλεσμα της κλιματικής αλλαγής».

Με πληροφορίες από Washington Post και Guardian

Διεθνή
0

ΣΧΕΤΙΚΑ ΑΡΘΡΑ

ΔΕΙΤΕ ΑΚΟΜΑ

Δύο τρανς πρόσωπα γράφουν ιστορία στη Σκωτία — και η Βουλή αφαιρεί το φίλτρο φύλου από το site της

Διεθνή / Δύο τρανς πρόσωπα γράφουν ιστορία στη Σκωτία με την εκλογή τους και η Βουλή αφαιρεί το φίλτρο φύλου από το site της

Η Iris Duane και το Q Manivannan έγιναν τα πρώτα ανοιχτά τρανς μέλη του σκωτσέζικου κοινοβουλίου. Λίγες ημέρες αργότερα, το Holyrood αφαίρεσε από την ιστοσελίδα του το φίλτρο αναζήτησης με βάση το φύλο, μετά τις αντιδράσεις για την καταγραφή μιας τρανς γυναίκας και ενός non-binary προσώπου.
THE LIFO TEAM
Το Stonewall μπήκε στη λίστα με τους πιο απειλούμενους ιστορικούς τόπους των ΗΠΑ

Διεθνή / Το Stonewall μπήκε στη λίστα με τους πιο απειλούμενους ιστορικούς τόπους των ΗΠΑ

Το Εθνικό Μνημείο Stonewall στη Νέα Υόρκη περιλαμβάνεται στη φετινή λίστα του National Trust for Historic Preservation, που εστιάζει σε τόπους συνδεδεμένους με αγώνες ισότητας, σε μια περίοδο όπου η ιστορική μνήμη γύρω από τα LGBTQ+ δικαιώματα βρίσκεται ξανά υπό πίεση.
THE LIFO TEAM
ΡΙΑΛΙΤΙ ΒΡΕΤΑΝΙΑ ΗΝΩΜΕΝΟ ΒΑΣΙΛΕΙΟ ΒΙΑΣΜΟΣ

Διεθνή / Βρετανία: Η «συγγνώμη» του Channel 4 για τις καταγγελίες περί σεξουαλικής κακοποίησης σε ριάλιτι

Η επικεφαλής του βρετανικού καναλιού δήλωσε ότι πιστεύει ότι το κανάλι ενήργησε σωστά, αλλά ότι «λυπάται βαθιά» για την ταραχή που προκάλεσε στις συμμετέχουσες
THE LIFO TEAM
ΜΠΑΡΝΕΪ ΦΡΑΝΚ ΒΟΥΛΕΥΤΗΣ ΗΠΑ

Διεθνή / Πέθανε ο Μπάρνεϊ Φρανκ, ο πρώτος ανοιχτά ομοφυλόφιλος βουλευτής των ΗΠΑ, σε ηλικία 86 ετών

Ο Φρανκ υπηρέτησε στο Κογκρέσο από το 1981 έως το 2013 και υπήρξε βασικός «αρχιτέκτονας» του Dodd-Frank Act, του νομοσχεδίου που δημιούργησε νέους εποπτικούς μηχανισμούς και επέβαλε αυστηρότερους περιορισμούς στις τράπεζες μετά τη Μεγάλη Ύφεση του 2008
THE LIFO TEAM