Ο τυφώνας Melissa πλησιάζει την Τζαμάικα ως η ισχυρότερη καταιγίδα στην ιστορία του νησιού

Ο τυφώνας Melissa πλησιάζει την Τζαμάικα ως η ισχυρότερη καταιγίδα στην ιστορία του νησιού Facebook Twitter
Φωτογραφία: X
0

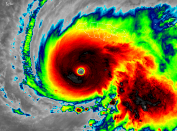
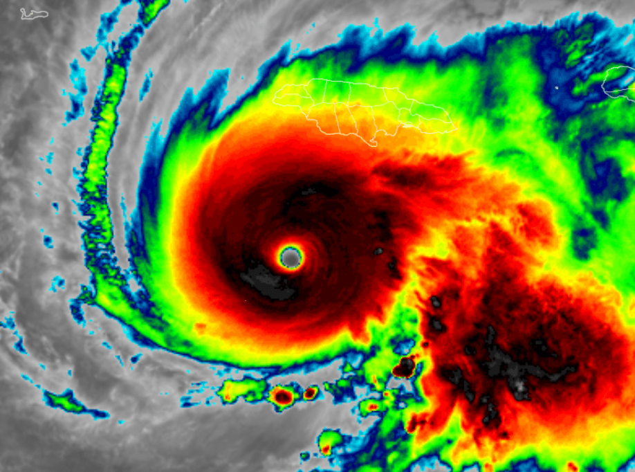
Ο τυφώνας Melissa ενισχύθηκε σε Κατηγορία 5 σήμερα, Δευτέρα (27/10) καθώς πλησιάζει την Τζαμάικα, όπου οι μετεωρολόγοι προειδοποιούν για καταστροφικές πλημμύρες, κατολισθήσεις και εκτεταμένες ζημιές.

Αναμένεται να είναι ο ισχυρότερος τυφώνας που πλήττει το νησί από τότε που ξεκίνησε η καταγραφή στοιχείων το 1851.

Η Melissa, υπεύθυνη για έξι θανάτους στη βόρεια Καραϊβική καθώς κατευθυνόταν προς το νησί, αναμένεται να πλήξει την Τζαμάικα την Τρίτη, πριν φτάσει στην Κούβα αργότερα την ίδια μέρα και στη συνέχεια να κατευθυνθεί προς τις Μπαχάμες. Δεν αναμένεται να επηρεάσει τις Ηνωμένες Πολιτείες.

Η Hanna Mcleod, 23 ετών, υπάλληλος ξενοδοχείου στην πρωτεύουσα Κίνγκστον, είπε ότι κάλυψε τα παράθυρα στο σπίτι της, όπου μένουν ο σύζυγός της και ο αδερφός της. Προμηθεύτηκε κονσέρβες και τοποθέτησε κεριά και φακούς σε όλο το σπίτι.

Η Κατηγορία 5 είναι η υψηλότερη στην κλίμακα τυφώνων Saffir-Simpson, με συνεχόμενους ανέμους πάνω από 250 χλμ/ώρα. Ο Jonathan Porter, επικεφαλής μετεωρολόγος στην AccuWeather, δήλωσε ότι ο τυφώνας Melissa θα είναι ο ισχυρότερος τυφώνας στην καταγεγραμμένη ιστορία που πλήττει απευθείας τη μικρή αυτή χώρα της Καραϊβικής.

Αναμένονταν κύματα έως 4 μέτρα κατά μήκος της ακτής στο Κίνγκστον, όπου βρίσκονται κρίσιμες υποδομές, όπως το κύριο διεθνές αεροδρόμιο και οι μονάδες παραγωγής ηλεκτρικής ενέργειας. «Αυτό μπορεί να γίνει πραγματική ανθρωπιστική κρίση πολύ γρήγορα, και πιθανόν θα χρειαστεί μεγάλη διεθνής βοήθεια», είπε ο Porter σε τηλεφωνική συνέντευξη.

«Ακούω τι λένε, αλλά δεν φεύγω»

Το πρωί της Δευτέρας, ο τυφώνας βρισκόταν περίπου 230 χλμ νοτιοδυτικά του Κίνγκστον και περίπου 530 χλμ νοτιοδυτικά του Γκουαντάναμο, Κούβα, σύμφωνα με το Εθνικό Κέντρο Τυφώνων των ΗΠΑ στο Μαϊάμι. Ο τυφώνας είχε μέγιστους συνεχόμενους ανέμους 270 χλμ/ώρα και κινούνταν δυτικά με 5 χλμ/ώρα.

Ορισμένες περιοχές της ανατολικής Τζαμάικα ενδέχεται να δεχθούν έως και 1 μέτρο βροχής, ενώ η δυτική Αϊτή έως 40 εκατοστά, σύμφωνα με το κέντρο τυφώνων.

Υποχρεωτικές εκκενώσεις διατάχθηκαν σε επτά περιοχές της Τζαμάικα που είναι επιρρεπείς σε πλημμύρες, με λεωφορεία να μεταφέρουν ανθρώπους σε ασφαλή καταφύγια. Ωστόσο, κάποιοι επέμεναν να μείνουν.

«Ακούω τι λένε, αλλά δεν φεύγω», δήλωσε ο Noel Francis, 64 ετών, ψαράς που ζει στην παραλία της νότιας πόλης Old Harbor Bay, όπου γεννήθηκε και μεγάλωσε.

«Μπορώ να τα βγάλω πέρα μόνος μου», πρόσθεσε.

Ορισμένες πόλεις κατά μήκος της νότιας ακτής της Τζαμάικα ανέφεραν ήδη διακοπές ρεύματος καθώς οι άνεμοι εντάθηκαν κατά τη διάρκεια της νύχτας.

Ένας τυφώνας - ρεκόρ για την Τζαμάικα

Η αργά κινούμενη καταιγίδα έχει ήδη σκοτώσει τουλάχιστον τρία άτομα στην Αϊτή και έναν ακόμη στη Δομινικανή Δημοκρατία, ενώ ένα άτομο αγνοείται.

Δύο άνθρωποι πέθαναν στην Τζαμάικα το Σαββατοκύριακο καθώς έκοβαν δέντρα πριν την καταιγίδα, σύμφωνα με το γραφείο διαχείρισης έκτακτης ανάγκης της χώρας.

«Καλώ τους κατοίκους της Τζαμάικα να το πάρουν σοβαρά», δήλωσε ο Desmond McKenzie, αναπληρωτής πρόεδρος του Συμβουλίου Διαχείρισης Κινδύνων Καταστροφών της Τζαμάικα. «Μην παίζετε με τη Melissa. Δεν είναι ασφαλές».

Με πληροφορίες από Associated Press

Διεθνή
0

ΣΧΕΤΙΚΑ ΑΡΘΡΑ

ΔΕΙΤΕ ΑΚΟΜΑ

Μπέρνι Σάντερς:

Διεθνή / Ο Μπέρνι Σάντερς επαίνεσε τον Τραμπ και άσκησε κριτική στον Μπάιντεν - «Έκανε καλύτερη δουλειά»

«Δεν πρόκειται να καθίσω εδώ και να σας πω ότι έκανε συνολικά καλή δουλειά - γιατί δεν ήταν καλή», δήλωσε χαρακτηριστικά ο Αμερικανός γερουσιαστής, αναφερόμενος στην πολιτική μετανάστευσης του Τζο Μπάιντεν
LIFO NEWSROOM
Βιετνάμ: Η νέα γεωπολιτική ισορροπία Ρωσίας, Κίνας και ΗΠΑ στην Ασία

Διεθνή / Βιετνάμ: Η νέα γεωπολιτική ισορροπία Ρωσίας, Κίνας και ΗΠΑ στην Ασία

Πώς το Βιετνάμ μεταμορφώνει τις διεθνείς συμμαχίες του, αναθερμαίνει τις σχέσεις με τη Ρωσία, αναζητά νέες ισορροπίες με τις ΗΠΑ και την Κίνα, και επαναπροσδιορίζει τον ρόλο του στην Νοτιοανατολική Ασία
LIFO NEWSROOM
Η Λιθουανία κλείνει τα σύνορα με τη Λευκορωσία: «Δεν θα ανεχθούμε υβριδικές επιθέσεις», διαμηνύει η πρωθυπουργός

Διεθνή / Η Λιθουανία κλείνει τα σύνορα με τη Λευκορωσία: «Δεν θα ανεχθούμε υβριδικές επιθέσεις», διαμηνύει η πρωθυπουργός

Η πρωθυπουργός Ρουτζινιένε δήλωσε ότι η κυβέρνηση έχει ήδη συντάξει το διάταγμα, το οποίο περιλαμβάνει μόνο πολύ περιορισμένες εξαιρέσεις για τους πολίτες της Λιθουανίας και της ΕΕ
LIFO NEWSROOM
Ο βασιλιάς Κάρολος συμμετείχε για πρώτη φορά σε εκδήλωση για τους ΛΟΑΤΚΙ+ βετεράνους του στρατού

Διεθνή / Ο βασιλιάς Κάρολος συμμετείχε για πρώτη φορά σε εκδήλωση για τους ΛΟΑΤΚΙ+ βετεράνους του στρατού

Ο βασιλιάς Κάρολος συμμετέχει στην πρώτη του επίσημη εκδήλωση για την κοινότητα ΛΟΑΤΚΙ+ ως μονάρχης, αποτίοντας φόρο τιμής στα μέλη της ένοπλης δύναμης που υπέστησαν διακρίσεις λόγω της σεξουαλικής τους ταυτότητας
LIFO NEWSROOM
Πρόσφυγες: Οι ΗΠΑ τους απομάκρυναν από το Αφγανιστάν και τώρα είναι αποκλεισμένοι στην έρημο του Κατάρ

Διεθνή / Πρόσφυγες: Οι ΗΠΑ τους απομάκρυναν από το Αφγανιστάν και τώρα είναι αποκλεισμένοι στην έρημο του Κατάρ

Η ιστορία της παγιδευμένης κοινότητας Αφγανών προσφύγων στη βάση Camp As Sayliyah στο Κατάρ αποτυπώνει τις επιπτώσεις της αμερικανικής παρέμβασης, της μεταναστευτικής πολιτικής και της γεωπολιτικής αβεβαιότητας
LIFO NEWSROOM
Eurofighter: Στην Τουρκία ο Στάρμερ για τη συμφωνία - Τι σημαίνει για τον Ερντογάν η προμήθεια 40 μαχητικών

Διεθνή / Eurofighter: Στην Τουρκία ο Στάρμερ για τη συμφωνία - Τι σημαίνει για τον Ερντογάν η προμήθεια 40 μαχητικών

Νέα εποχή στην αμυντική συνεργασία Βρετανίας-Τουρκίας: Ο Σερ Κιρ Στάρμερ επισκέπτεται την Άγκυρα για να ολοκληρωθεί η συμφωνία προμήθειας 40 Eurofighter Typhoon
ΠΕΤΡΟΣ ΚΡΑΝΙΑΣ
Αργεντινή: Γιατί οι αγρότες των ΗΠΑ είναι εξοργισμένοι με τα 20 δισ. δολάρια του Τραμπ στον Μιλέι

Διεθνή / Αργεντινή: Γιατί οι αγρότες των ΗΠΑ είναι εξοργισμένοι με τα 20 δισ. δολάρια του Τραμπ στον Μιλέι

Η κυβέρνηση Τραμπ προκαλεί αντιδράσεις με τη διάσωση 20 δισ. δολαρίων προς την Αργεντινή του Χαβιέρ Μιλέι - Οργή στις αγροτικές πολιτείες, διχασμός στους Ρεπουμπλικάνους
LIFO NEWSROOM
Από την Τασμανία στη Νέα Ζηλανδία σε 18 μήνες: Η σανίδα του σερφ που διέπλευσε τον ωκεανό

Διεθνή / Από την Τασμανία στη Νέα Ζηλανδία σε 18 μήνες: Η σανίδα του σερφ που περιέπλευσε τον ωκεανό

Μια μοναδική χειροποίητη σανίδα του σερφ, που χάθηκε το 2024 στην Τασμανία, διασχίζει 2.400 χλμ. μέχρι τη Νέα Ζηλανδία και επιστρέφει στον ιδιοκτήτη της χάρη στην τύχη, στη θάλασσα και στη δύναμη των social media
LIFO NEWSROOM