2.11.2015 Τech & Science To μεγαλύτερο επιστημονικό πείραμα τύπου Βig Brother θα παρακολουθεί 10.000 ανθρώπους 2.11.2015 2.500 νοικοκυριά της Νέα Υόρκης θα καλωδιωθούν και θα αποκαλύπτουν τα πάντα για τη ζωή τους
2.11.2015 Mικροπράγματα Ο 18χρονος Βαλεντίνος Τζέκας έφτιαξε μια εφαρμογή για να φέρει τους ανθρώπους της ψηφιακής εποχής κοντά Άρης Δημοκίδης 2.11.2015 Μιλά στο LIFO.gr για το app που είναι πλέον διαθέσιμο, δωρεάν για κινητά Android ΑΡΗΣ ΔΗΜΟΚΙΔΗΣ
1.11.2015 Τech & Science Who's Down: η νέα δωρεάν, social εφαρμογή της Google Spyros VJ 1.11.2015 Ένας εύκολος τρόπος να βρεις διαθέσιμη παρέα, έτοιμη για... οτιδήποτε SPYROS VJ
1.11.2015 Τech & Science Πόσο επιθετική είναι η γάτα σας; 1.11.2015 Όλα εξαρτώνται από το χρώμα, αποκαλύπτει νέα επιστημονική μελέτη
1.11.2015 Τech & Science Kate Winslet: Πάρτε τα tablets από τα χέρια των παιδιών σας 1.11.2015 Η πρωταγωνίστρια της νέας ταινίας για τον Steve Jobs έχει μια "λιγο" διαφορετική άποψη για την τεχνολογία
31.10.2015 Τech & Science "Συμπαντική συνωμοσία" ανήμερα του Halloween- Με νεκροκεφαλή μοιάζει ο κομήτης που περνά κοντά στη Γη 31.10.2015 "Θα έλεγε κανείς ότι μασκαρεύτηκε για το Halloween" αστειεύτηκε η NASA
31.10.2015 Τech & Science To Facebook τροποποιεί την πολιτική του για τα πραγματικά ονοματεπώνυμα Spyros VJ 31.10.2015 Μετά από ψήφισμα ακτιβιστών και LGBT οργανώσεων SPYROS VJ
31.10.2015 Τech & Science Στο μέλλον το νερό δεν θα το πίνουμε, θα το τρώμε 31.10.2015 To "Ooho" φιλοδοξεί να αντικαταστήσει τα πλαστικά μπουκάλια νερού
30.10.2015 Τech & Science Αυτό το εργαλείο της Google θα σας κάνει να ξεπεράσετε το πρώην ταίρι σας Spyros VJ 30.10.2015 Πάντα θα υπάρχουν κάποιοι άνθρωποι που δεν θέλουμε να τους βλέπουμε ούτε ζωγραφιστούς SPYROS VJ
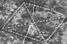
30.10.2015 Τech & Science Μυστηριώδεις αρχαίες κατασκευές φωτογράφισε η NASA στο Καζακστάν LifO Newsroom 30.10.2015 Τα «Γεωγλυφικά της Στέπας» προδίδουν την ασυναγώνιστη ευφυΐα των νομαδικών πληθυσμών LIFO NEWSROOM
30.10.2015 Τech & Science Να τι αλλάζει στην ανταλλαγή μηνυμάτων μέσω Facebook Spyros VJ 30.10.2015 Αντίο στον φάκελο 'other' που ίσως και να αγνοούσατε την ύπαρξή του SPYROS VJ
30.10.2015 Διεθνή Αυτό είναι το νέο Κέντρο Επιστήμης & Τεχνολογίας της Β. Κορέας που μοιάζει με σωματίδιο ατόμου 30.10.2015 Και φουντώνει τις φήμες για «άνοιγμα» του Κιμ Γιονγκ Ουν σε πυρηνικά προγράμματα
30.10.2015 Living Το πόσο θα ζήσει μια γυναίκα εξαρτάται από τη γέννηση παιδιών, το θηλασμό και την περίοδο 30.10.2015 Βρετανοί επιστήμονες αποκάλυψαν τους παράγοντες που μπορούν να μειώσουν ή να αυξήσουν τον κίνδυνο πρόωρου θανάτου
30.10.2015 Οικονομία Microsoft: Δεν τίθεται θέμα ματαίωσης επενδυτικού προγράμματος στην Ελλάδα 30.10.2015 Διαψεύδει τη μεταφορά επενδυτικού προγράμματος στη Ρουμανία
29.10.2015 Τech & Science To "Hello" της Adele στη λίστα του YouTube με τα βίντεο των 100 εκατ. views Spyros VJ 29.10.2015 Έσπασε όλα τα ρεκόρ του 2015 φτάνοντας τα 100 εκατ. views σε λιγότερο από μία εβδομάδα SPYROS VJ
29.10.2015 Τech & Science Γιατί χιλιάδες χρήστες iPhone δεν κατάφεραν σήμερα να ξυπνήσουν στην ώρα τους 29.10.2015 Τι συνέβη στο ξυπνητήρι του τηλεφώνου και δεν χτύπησε την ώρα της αφύπνισης
29.10.2015 Τech & Science Επιστήμονες του Μ.Ι.Τ. "είδαν" πίσω από τοίχο με την βοήθεια Wi-Fi Spyros VJ 29.10.2015 Μια νέα εφεύρεση μπορεί να εντοπίσει και να απεικονίσει ανθρώπινες σιλουέτες πίσω από τοίχους SPYROS VJ
29.10.2015 Τech & Science Υπέρ της παροχής ασύλου στον Έντουαρντ Σνόουντεν ψήφισε η Ε.Ε. Spyros VJ 29.10.2015 Τον αναγνώρισε ως υπέρμαχο των ανθρωπίνων δικαιωμάτων και καλεί σε προστασία των ψηφιακών μας δικαιωμάτων SPYROS VJ
29.10.2015 Τech & Science Σε επίπεδα-ρεκόρ η τρύπα του όζοντος στην Ανταρκτική 29.10.2015 Όσο η Ρωσία και ο Καναδάς μαζί
29.10.2015 Τech & Science Project Loon: To σχέδιο της Google για πρόσβαση στο ίντερνετ σε όλο τον πλανήτη ξεκινά 29.10.2015 Τα τεράστια μπαλόνια θα ξεκινήσουν δοκιμαστικές πτήσεις στις αρχές του 2016